Sibiu Estate utilizează fişiere de tip cookie pentru a personaliza și îmbunătăți experiența ta pe Website-ul nostru. Înainte de a continua navigarea pe Website-ul nostru te rugăm să aloci timpul necesar pentru a citi și înțelege conținutul Politicii de Cookie. Prin continuarea navigării pe Website-ul nostru confirmi acceptarea utilizării fişierelor de tip cookie conform Politicii de Cookie.

Teren potential showroom, activitati comerciale/industriale Selimbar

Sibiu, Selimbar

899.000€
ID: P209715 3
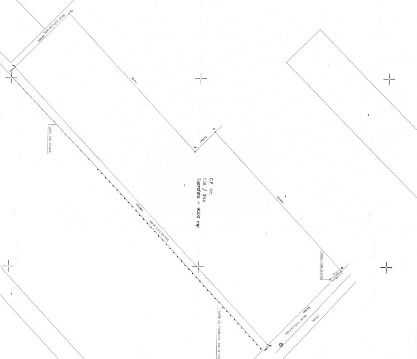
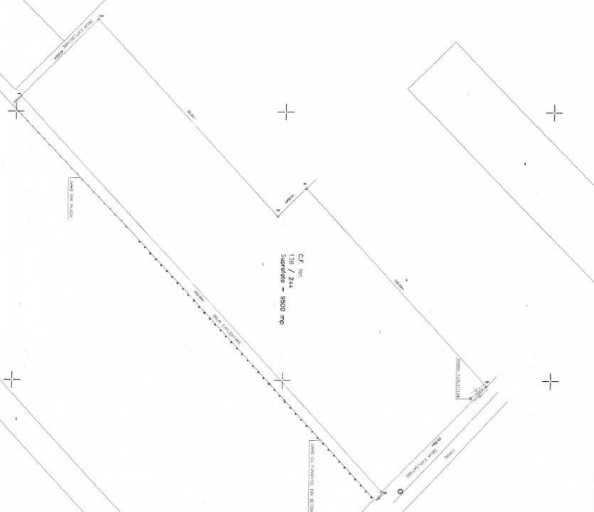
  • S. teren:9500.00 mp
  • Front stradal:55.00 m
  • Nr. fronturi:2
  • Clasificare teren:Extravilan

🔹 De vânzare – Teren cu PUZ în lucru, ideal pentru showroom / hale / activități comerciale 🔹

📍 Localizare: Șelimbăr, Sibiu – la DN1, în imediata vecinătate a reprezentanțelor Auto

🟩 Descriere generală:
Terenul are o suprafață de 9.500 mp și o deschidere de 54 ml la Șoseaua Sibiului (DN1), oferind vizibilitate excelentă și acces direct din drum național.
În prezent, terenul are PUZ în lucru, cu destinație pentru construcții industriale, comerciale și de servicii.

Este potrivit pentru dezvoltarea unei reprezentanțe auto, showroom, hală de producție, depozit logistic sau alte activități economice similare.

🏗️ Caracteristici principale:

Suprafață totală: 9.500 mp

Deschidere: 54 metri la DN1

Lungime: 200 metri

PUZ în lucru

Utilități disponibile în zonă

Acces pentru TIR-uri și autoturisme

Acces facil la Autostrada A1

⭐ Avantaje și puncte forte:
✅ Poziționare strategică la drum național, vizibilitate maximă
✅ Zonă consacrată pentru activități auto și industriale
✅ Infrastructură completă și în plină dezvoltare
✅ Ideal pentru showroom, hală sau spațiu logistic

💰 Preț: 899000 euro

Utilitati
  • Utilitati generale: Utilitati in zona

Lucian Tarchila

Manager Vanzari

Contacteaza-ma

Lucian Tarchila

+40 758 962 392